Американские власти предупреждают, что к Луизиане и другим американским штатам в Мексиканском заливе приближается ураган Ида, который набирает силу и угрожает стать одним из самых разрушительных за последнее время. Ожидается, что ураган ударит по Новому Орлеану в воскресенье, то есть ровно через 16 лет после того, как из-за урагана «Катрина» крупнейший город Луизианы был почти полностью затоплен.
Мэр Нового Орлеана Латойя Кантрелл заявила, что люди, которые живут в незащищенных плотинами частях города, должны эвакуироваться. При том она призвала тех, кто живет в пределах защитных барьеров, готовиться к удару дома. «Мы не хотим, чтобы они оказались в пути и таким образом подверглись еще большей опасности», — сказала мэр на пресс-конференции в пятницу.
В Новом Орлеане и других частях Луизианы эвакуироваться пришлось десяткам тысяч людей. На местных дорогах образовались огромные пробки, на некоторых автозаправочных станциях закончился бензин.
В Мексиканском заливе прекратили работу более 80 нефтяных вышек, местные нефтеперерабатывающие завода значительно сократили производство.
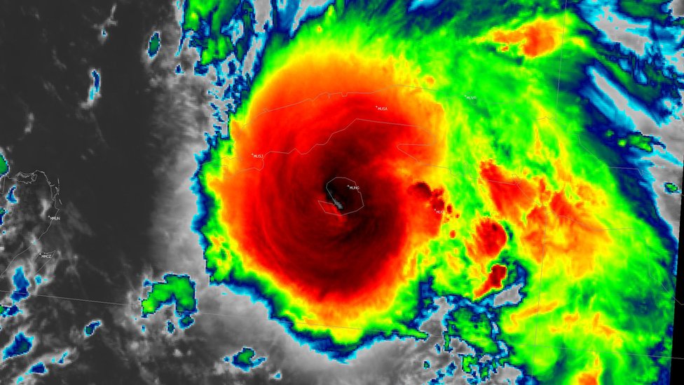
Метеорологи ожидают, что «Ида» достигнет американского побережья как крайне опасный ураган четвертой категории (из пяти возможных). Скорость ветра при этом может достигать 225 километров в час, ураган будет сопровождаться сильными дождями и значительным повышением уровня моря в прибрежных районах.
- Убийственная жара: счет жертвам глобального потепления идет на десятки тысяч
- Европа оказалась не готова к разрушительному наводнению. Кто виноват — чиновники или ученые?
- Смертоносные наводнения в Индии: спасатели ищут выживших
«Для тех, кто не успел подготовиться, этот шторм может иметь серьезные последствия для жизни», — цитирует агентство Ассошиэйтед пресс американского метеоролога Бенджамина Скотта.
После «Катрины»
Эксперты не исключают, что если ураган совпадет по времени с морским приливом, он может привести к прорыву плотин, как произошло во время удара «Катрины». Она пришла к побережью США как ураган третьей категории и 29 августа 2005 года привела к затоплению 80% территории Нового Орлеана, при этом погибли более 1,8 тыс. человек.
После этого американские власти значительно укрепили плотины, построенные для защиты Нового Орлеана от наводнений.
Губернатор Луизианы Джон Бел Эдвардс объявил в штате чрезвычайное положение и в своем «Твиттере» предупредил, что местные жители «должны быть готовы ко всему». «Этот шторм приведет к серьезным последствиям по всему штату», — написал он.
В пятницу «Ида» ударила по западной части Кубы — в этот момент она оценивалась как шторм первой категории: скорость ветра составляла около 120 километров в час. Как сообщает кубинская газета Granma, шторм валил деревья и столбы линий электропередач, что приводило к массовым отключениям электричества.
Однако, как отмечает американское метеорологическое агентство, теплая погода в Мексиканском заливе помогает шторму набрать силу. «Ожидается, что в момент, когда он достигнет северного побережья Мексиканского залива, [«Ида»] превратится в мощный ураган», — сказано в сообщении Национального центра США по слежению за ураганами.
Ученые по-прежнему точно не знают, существует ли прямая связь между ураганами и глобальными изменениями климата. Однако известно, что повышение температуры моря приводит к разогреванию воздуха, а это дает ураганам, циклонам и тайфунам больше энергии. В результате более жаркая погода способствует усилению этих стихийных бедствий.

